_Br_MRAC_40kmSW_deJimma_Belleta_Forest_Ethiopia_now_flavescens_Adlbauer.jpg)
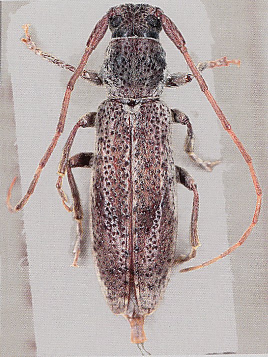
Niphoparmena aethiopica Breuning Specimen Type: holotype Sex: f Institution: MRAC Musée Royal de l'Afrique Centrale de Tervuren, Belgium Photographer: Karl Adlbauer Collection Location: 40 km SW de Jimma, Belleta Forest, Ethiopia 72660
|
_Breuning_MRAC_1kmSW_deJimma_Kaffa_Province_Ethiopia_now_flavescens_Adlbauer.jpg)
Niphoparmena clarkei Breuning Specimen Type: holotype Sex: f Institution: MRAC Musée Royal de l'Afrique Centrale de Tervuren, Belgium Photographer: Karl Adlbauer Collection Location: 1 km SW de Jimma, Kaffa Province, Ethiopia 72661
|