_Martins_MZSP_SWL.jpg)
Heterachthes xyleus Martins Specimen Type: holotype Sex: f Institution: MZSP Museu de Zoologia da Universidade de São Paulo, Brazil Photographer: Steve Lingafelter Collection Location: Santa Cruz, Bolivia 8381
|
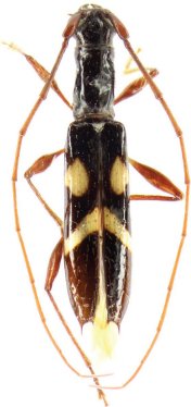
_Mart_and_Galil_MNKM_4kmN_Bermejo_Ref_Los_Volcanes_Florida_SC_Bol.jpg)
Pygmodeon maculatum Martins & Galileo Specimen Type: holotype Sex: f Institution: MNKM Museo de Hist Nat Noel Kempff Mercado Santa Cruz de la Sierra, Bolivia Collection Location: 4km N Bermejo, Refugia Los Volcanes, Florida Prov, Santa Cruz, Bolivia 34852
|