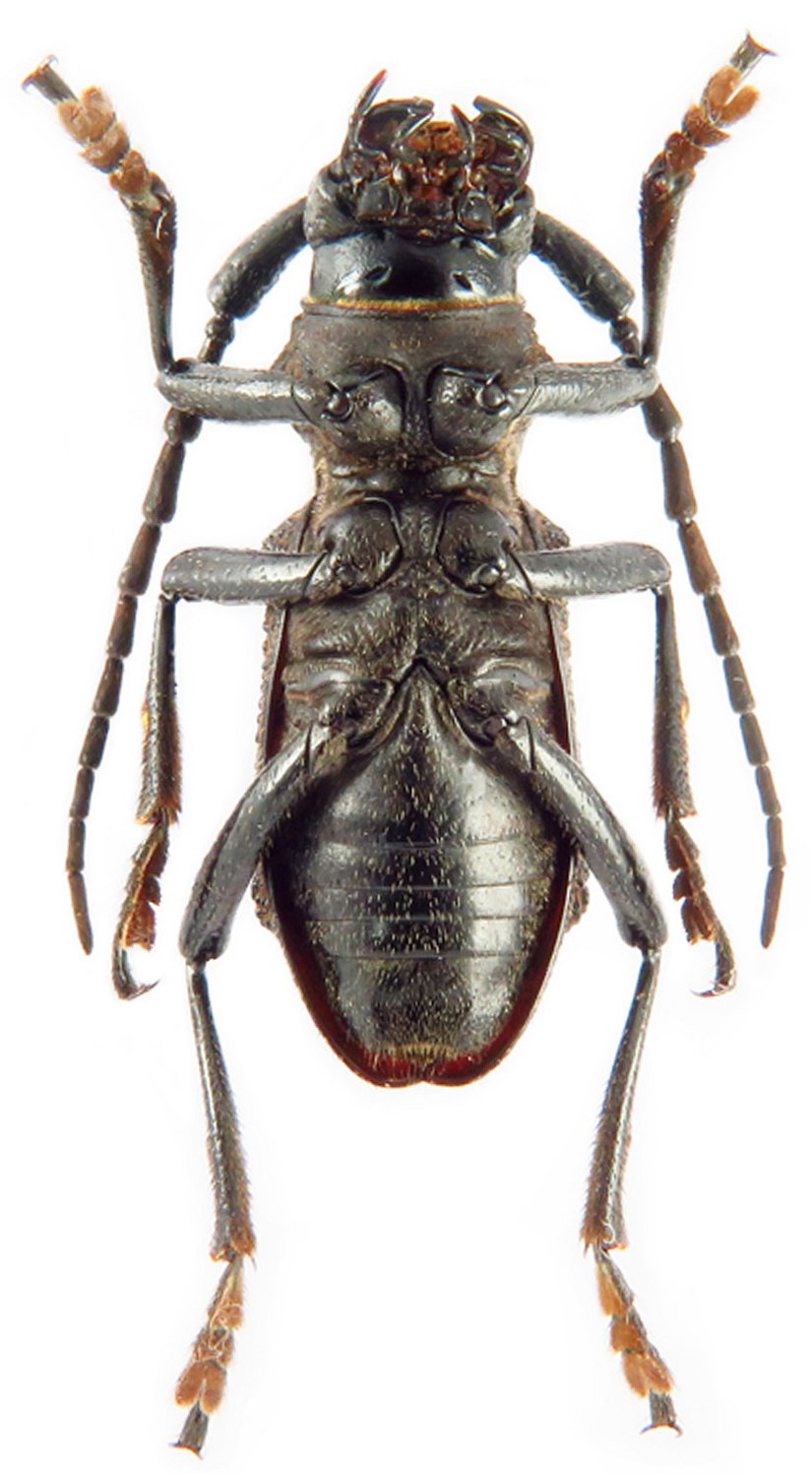
_(Pic)_Yunnan_China.jpg)
Sex: m Institution: LPSSY School of Biological Sciences and Technology, Liupanshui Normal University, Liupanshui, China Photographer: Huang Collection Location: Yunnan, China 69959
|
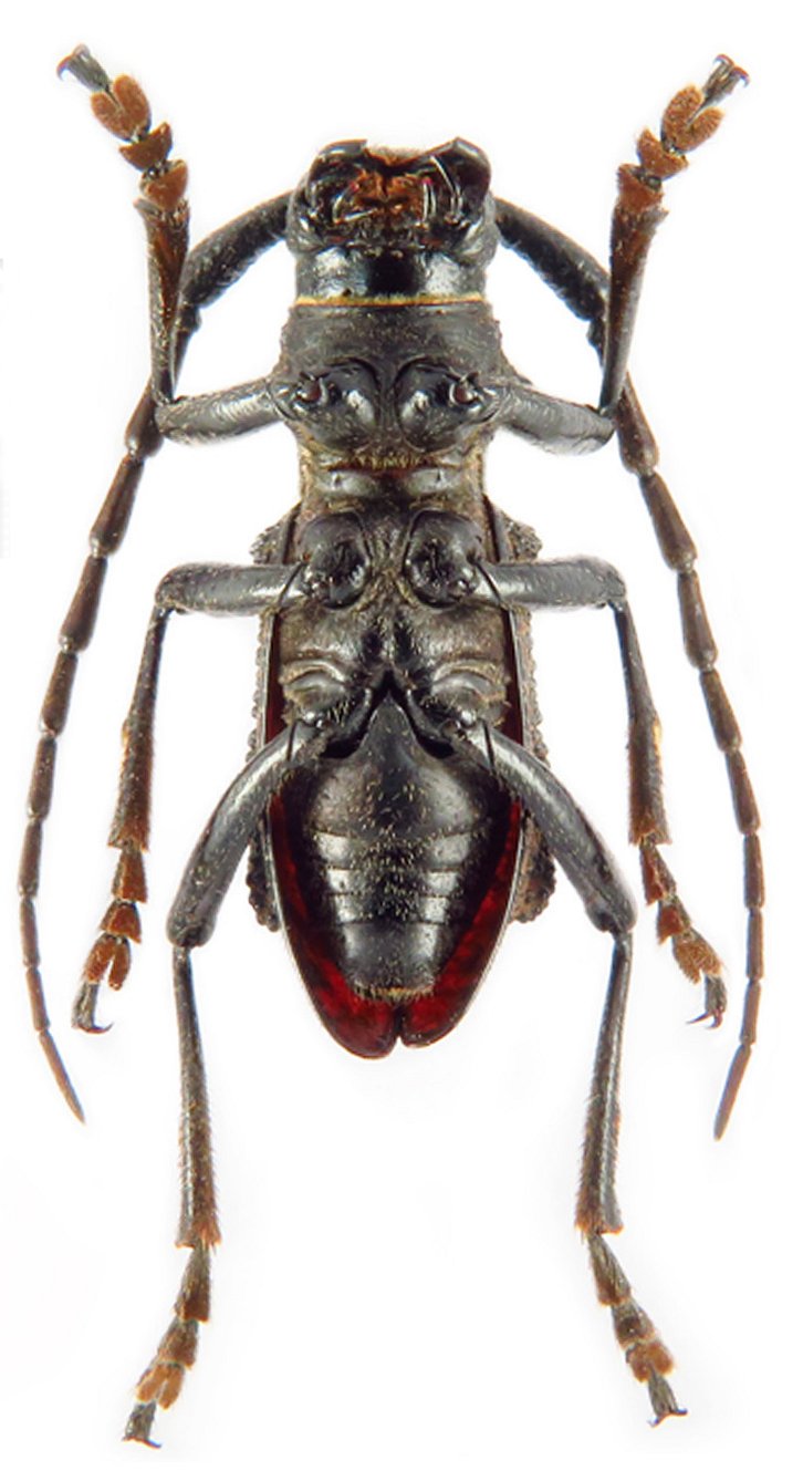
_(Pic)_Yunnan_China.jpg)
Sex: m Institution: LPSSY School of Biological Sciences and Technology, Liupanshui Normal University, Liupanshui, China Photographer: Huang Collection Location: Yunnan, China 69960
|
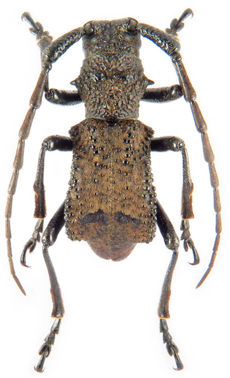
_(Pic)_Yunnan_China.jpg)
Sex: m Institution: LPSSY School of Biological Sciences and Technology, Liupanshui Normal University, Liupanshui, China Photographer: Huang Collection Location: Yunnan, China 69961
|
_(Pic)_Yunnan_China.jpg)
Sex: f Institution: LPSSY School of Biological Sciences and Technology, Liupanshui Normal University, Liupanshui, China Photographer: Huang Collection Location: Yunnan, China 69962
|
_(Pic)_Yunnan_China.jpg)
Sex: f Institution: LPSSY School of Biological Sciences and Technology, Liupanshui Normal University, Liupanshui, China Photographer: Huang Collection Location: Yunnan, China 69963
|
_(Pic)_Yunnan_China.jpg)
Sex: f Institution: LPSSY School of Biological Sciences and Technology, Liupanshui Normal University, Liupanshui, China Photographer: Huang Collection Location: Yunnan, China 69964
|
|