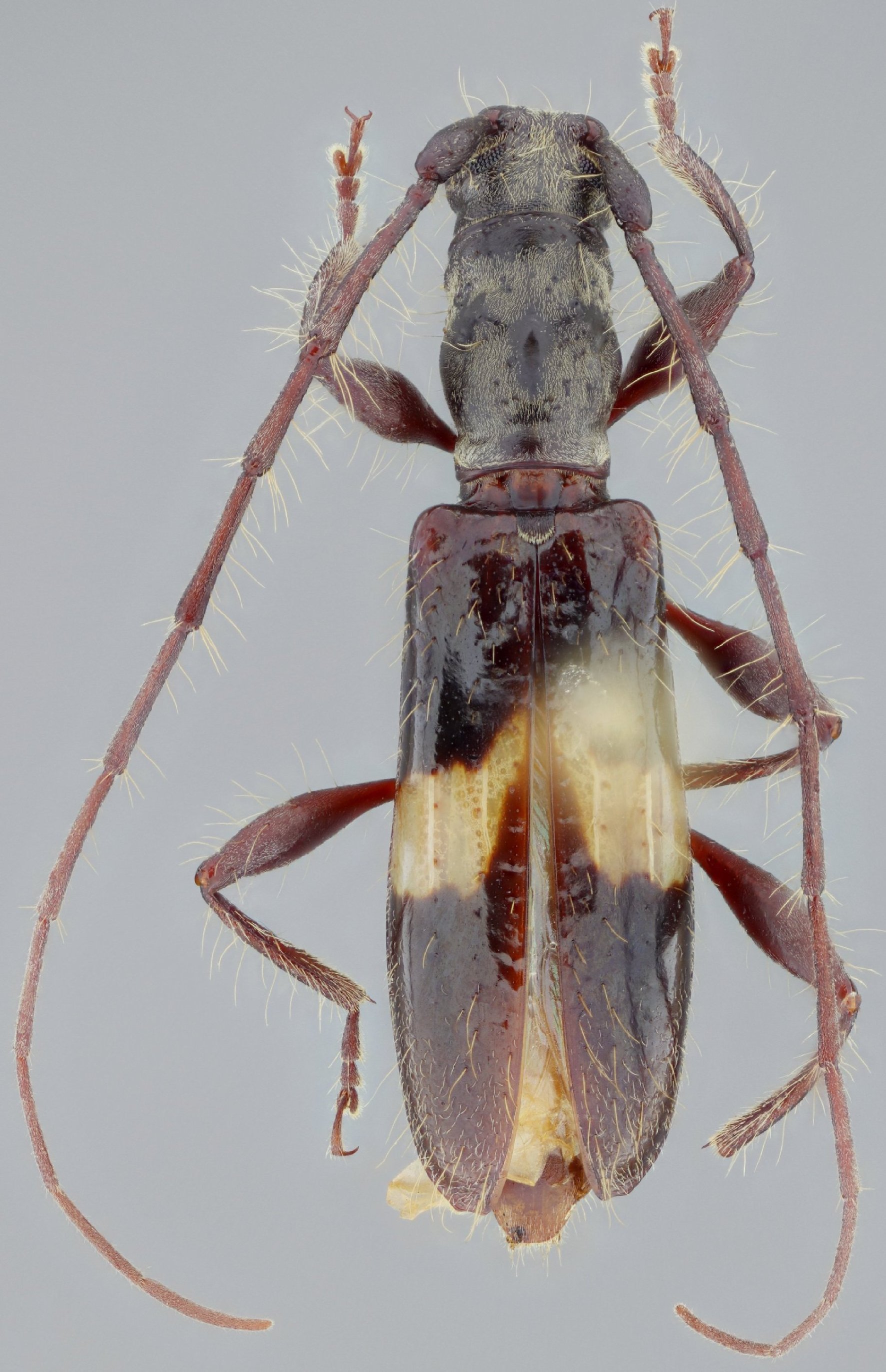
_Linsley_CAS_3866_LGB_=_Heterachthes_w-notatus.jpg)
Heterachthes w-notata Linsley Specimen Type: holotype Sex: m Institution: CAS California Academy of Sciences, San Francisco, CA, USA Photographer: Larry G. Bezark Collection Location: Tejupilco, México (District of Temascaltepec), Mexico 20405
|

8378
|

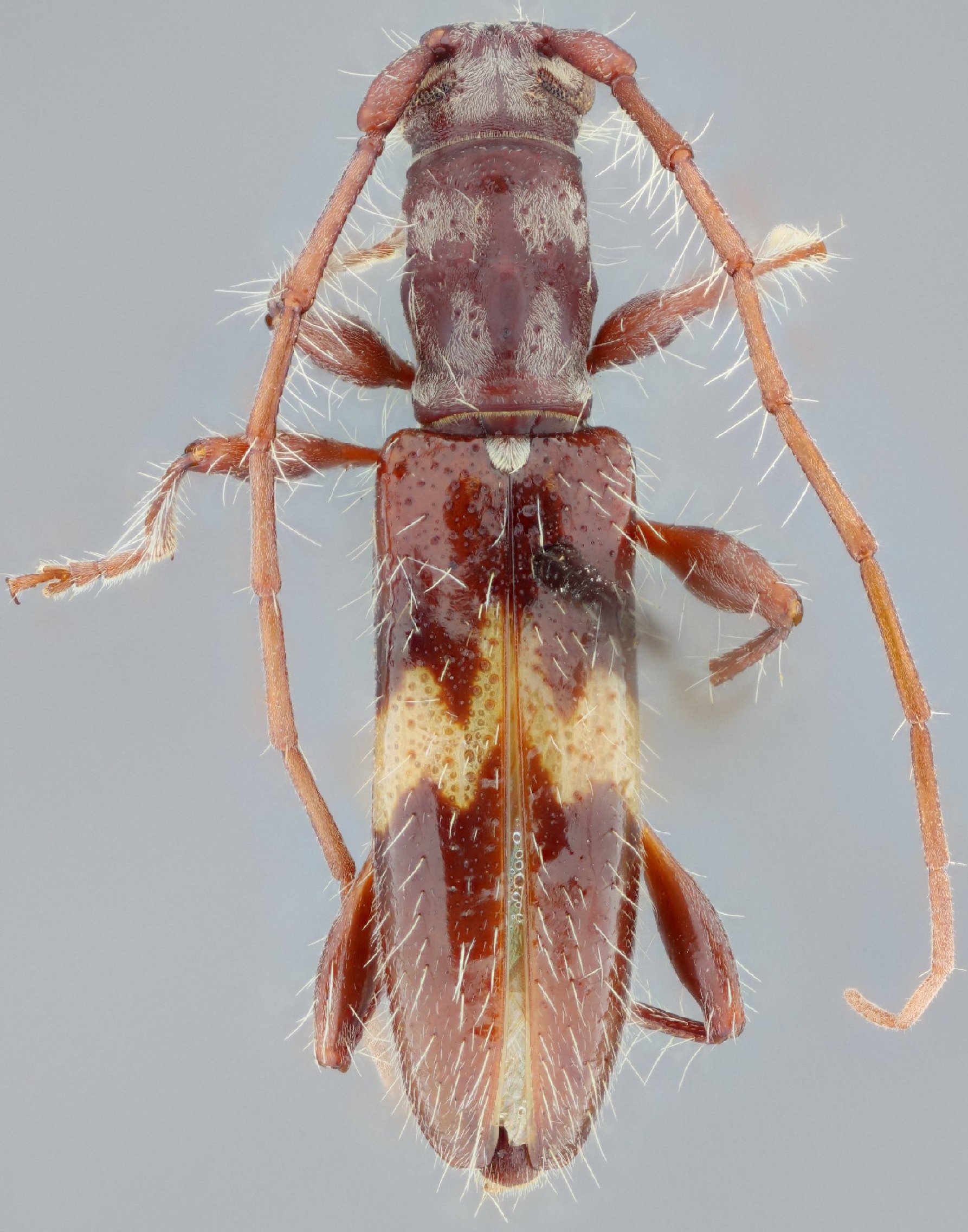
Institution: LGBC Larry G. Bezark Collection, Sacramento, California, USA Photographer: Larry G. Bezark Determiner: Martins Collection Location: 5 mi W Moctezuma Sonora, Mexico 24656
|

Institution: LGBC Larry G. Bezark Collection, Sacramento, California, USA Photographer: Larry G. Bezark Determiner: Martins Collection Location: 5 mi W Moctezuma Sonora, Mexico 24655
|

Institution: LGBC Larry G. Bezark Collection, Sacramento, California, USA Photographer: Antonio Santos-Silva Collection Location: 1 km S Hwy 190 road to Microondas, San Cristobal, Oaxaca_Mexico 70074
|

Institution: LGBC Larry G. Bezark Collection, Sacramento, California, USA Photographer: Antonio Santos-Silva Collection Location: Estacion Biologia Heloderma, vic El Arenal, Zacapa, Guatemala 70075
|

Institution: MZSP Museu de Zoologia da Universidade de São Paulo, Brazil Photographer: Antonio Santos-Silva Collection Location: Michoacan, Mexico 70076
|
_SS.jpg)
Sex: m Photographer: Antonio Santos-Silva 67285
|
_SS.jpg)
Sex: m Photographer: Antonio Santos-Silva 67286
|
|