_(f)_Martins_and_Galileo.jpg)
Specimen Type: holotype Sex: f Institution: MZSP Museu de Zoologia da Universidade de São Paulo, Brazil Collection Location: Plazuela-Inquizivi, La Paz, Bolivia 8371
|
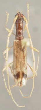
_Martins_and_Galileo_MZSP_SWL.jpg)
Specimen Type: holotype Sex: f Institution: MZSP Museu de Zoologia da Universidade de São Paulo, Brazil Photographer: Steve Lingafelter Collection Location: Plazuela-Inquizivi, La Paz, Bolivia 8372
|