New Search Family, Subfamily and Tribe List

SubFamily Lamiinae

Tribe Lamiini
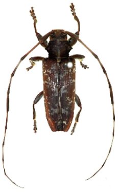
Sternohammus strandi Breuning 1935

Sex: m
Photographer: Francesco Vitali, Cerambycoidea Forum
Collection Location: West Java, Indonesia
62227


Sex: f
Photographer: Philippe Jacquot, Cerambycoidea Forum
Collection Location: Sumatra
62228

130425