_(Gressitt)_CAS.jpg)
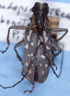
Specimen Type: allotype Sex: m Institution: CAS California Academy of Sciences, San Francisco, CA, USA Photographer: Larry G. Bezark Collection Location: 1.5 mi S Nodoa, Hainan Island, China 58151
|

Institution: BPBM Bernice P. Bishop Museum, Honolulu, Hawaii, USA Photographer: Jim Cope Collection Location: Hainan Island, China 58152
|