New Search Family, Subfamily and Tribe List

SubFamily Lamiinae

Tribe Lamiini
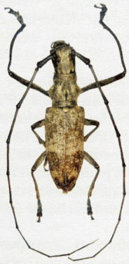
Pseudhammus rousseti Teocchi et.al. 2004

Determiner: Les Cahiers Magellanes
Collection Location: Cameroon
58045

130425