_Breuning_BPBM_Nobuo_Ohbay.jpg)
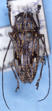
Specimen Type: holotype Institution: BPBM Bernice P. Bishop Museum, Honolulu, Hawaii, USA Photographer: Nobuo Ohbayashi Collection Location: région de Dalat, plateau du Darlac, South Vietnam 45101
|

Institution: BPBM Bernice P. Bishop Museum, Honolulu, Hawaii, USA Photographer: Jim Cope Collection Location: S Vietnam 56542
|