_Fall_MCZ_=_Heterachthes.jpg)
Ibidion polingi Fall Specimen Type: holotype Sex: f Institution: MCZ Museum of Comparative Zoology, Harvard University, Cambridge, MA, USA Photographer: P. Naskrecki, P. Perkins, and B. Farrell Collection Location: Baboquivari Mountains, Arizona 1353
|
_Fall_MCZ_=_Heterachthes.jpg)
Ibidion polingi Fall Specimen Type: holotype Sex: f Institution: MCZ Museum of Comparative Zoology, Harvard University, Cambridge, MA, USA Photographer: P. Naskrecki, P. Perkins, and B. Farrell Collection Location: Baboquivari Mountains, Arizona 1354
|
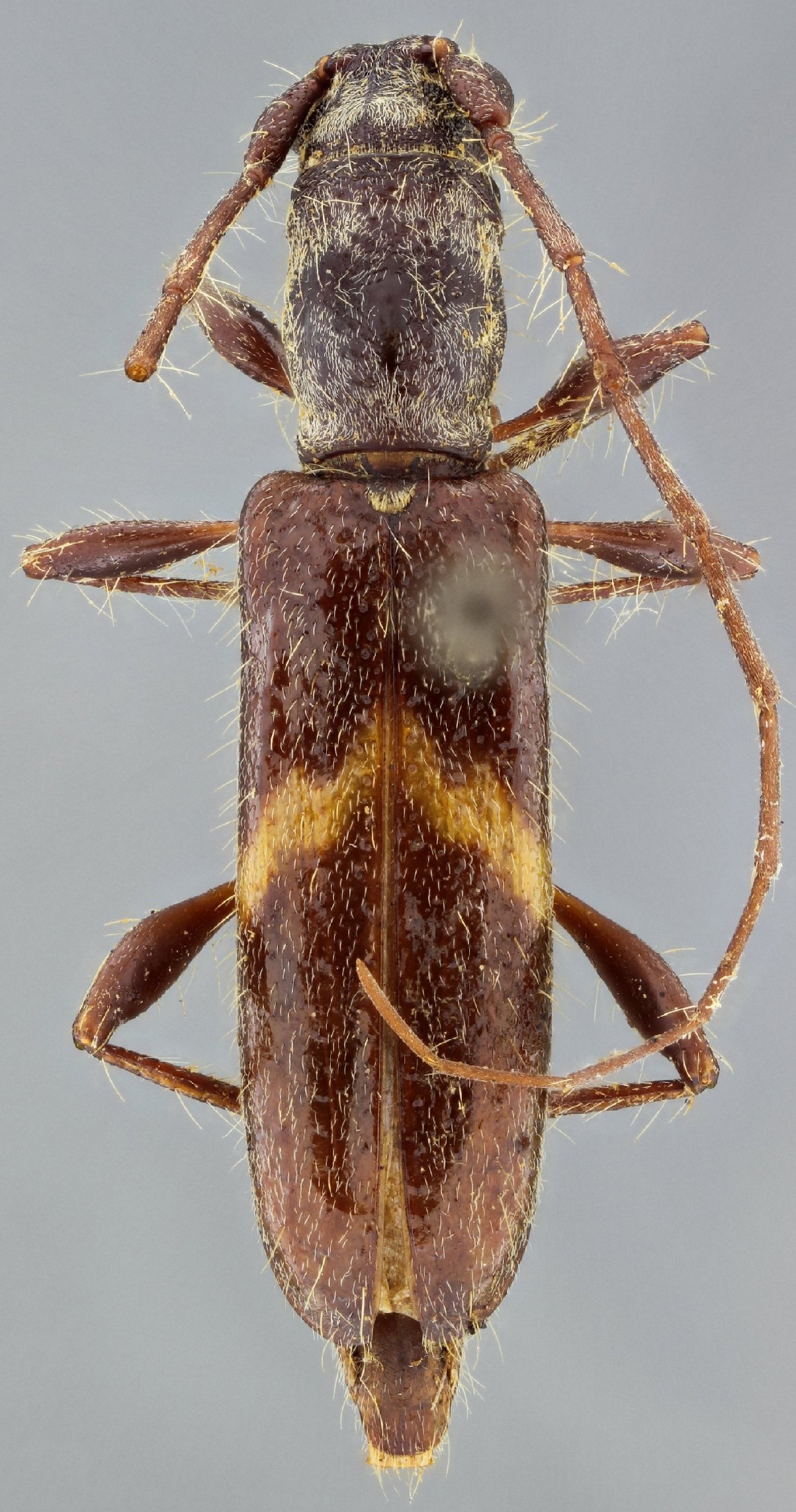
_Fall_MCZ_=_Heterachthes.jpg)
Ibidion polingi Fall Specimen Type: holotype Sex: f Institution: MCZ Museum of Comparative Zoology, Harvard University, Cambridge, MA, USA Photographer: P. Naskrecki, P. Perkins, and B. Farrell Collection Location: Baboquivari Mountains, Arizona 1355
|
_Fall_MCZ_=_Heterachthes.jpg)
Ibidion polingi Fall Specimen Type: holotype Sex: f Institution: MCZ Museum of Comparative Zoology, Harvard University, Cambridge, MA, USA Photographer: P. Naskrecki, P. Perkins, and B. Farrell Collection Location: Baboquivari Mountains, Arizona 1356
|

Photographer: Larry G. Bezark 3435
|
_SS.jpg)
Sex: f Photographer: Antonio Santos-Silva 67284
|
|