_Breuning_BPBM_Nobuo_Ohbay.jpg)
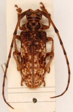
Trichocoedomea rondoni Breuning Specimen Type: holotype Sex: m Institution: BPBM Bernice P. Bishop Museum, Honolulu, Hawaii, USA Photographer: Nobuo Ohbayashi Collection Location: Phou Khao Khoay, Vientiane Province, Laos 45470
|

Trichocoedomea rondoni Breuning Photographer: Jim Cope 66112
|