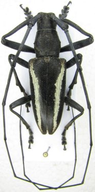
 Audinet-Serville Java, Indonesia MNHN GC.jpg)
Specimen Type: syntype Institution: MNHN Museum of Natural History Paris, France Photographer: Gerard Chemin Collection Location: Java, Indonesia 78250
|

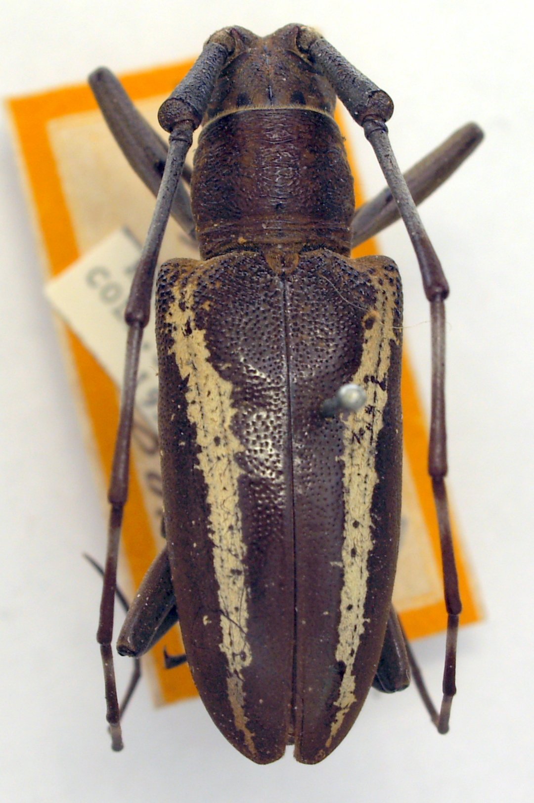
Institution: LIPI Lembaga Ilmu Pengetahuan, Bogor, Indonesia Photographer: Larry G. Bezark Determiner: Schwarzer Collection Location: Amboin 44091
|

Institution: LIPI Lembaga Ilmu Pengetahuan, Bogor, Indonesia Photographer: Larry G. Bezark Determiner: Schwarzer Collection Location: Amboin 44092
|

Institution: LIPI Lembaga Ilmu Pengetahuan, Bogor, Indonesia Photographer: Larry G. Bezark Determiner: Schwarzer Collection Location: Amboin 44093
|

Photographer: Gerard Chemin, Cerambycoidea Forum Collection Location: Indonesia 56345
|

Photographer: Vitali Nagirnyi, Cerambycoidea Forum Collection Location: Buru Island, Indonesia 56346
|
|