New Search Family, Subfamily and Tribe List

SubFamily Lamiinae

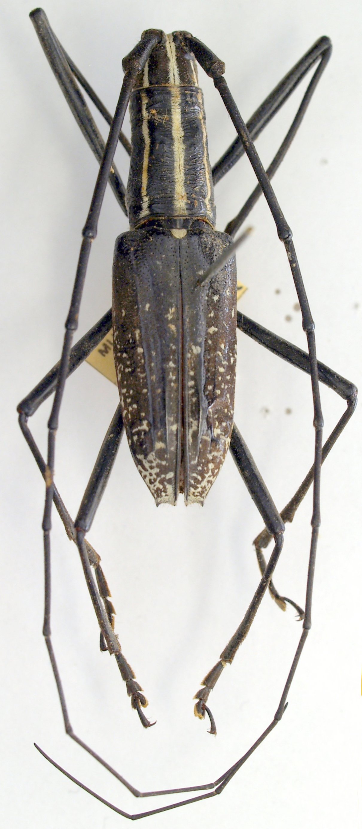
Tribe Lamiini
Macrochenus lacordairei alorensis Breuning 1956

Specimen Type: holotype
Sex: m
Institution: MNHN Museum of Natural History Paris, France
Photographer: Gerard Chemin
Collection Location: Alor Island, Lesser Sunda Islands, Indonesia
78242

130425