_White_BMNH_E_Indies_Paraleprodera_KM.jpg)
Monohammus stephana stephana (White) Specimen Type: holotype Institution: BMNH British Museum Natural History, London, UK Photographer: Keita Matsumoto Collection Location: E India 66364
|
_White_BMNH_E_Indies_Paraleprodera_KM.jpg)
Monohammus stephana stephana (White) Specimen Type: holotype Institution: BMNH British Museum Natural History, London, UK Photographer: Keita Matsumoto Collection Location: E India 66365
|
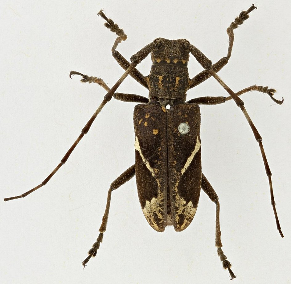
_White_Assam_India_nowParaleprodera_stephanus_LGB.jpg)
Monohammus officinator White Specimen Type: syntype Institution: BMNH British Museum Natural History, London, UK Photographer: Larry G. Bezark Collection Location: Assam, India 48378
|
_White_Assam_India_nowParaleprodera_stephanus_LGB.jpg)
Monohammus officinator White Specimen Type: syntype Institution: BMNH British Museum Natural History, London, UK Photographer: Larry G. Bezark Collection Location: Assam, India 48379
|

Institution: LGBC Larry G. Bezark Collection, Sacramento, California, USA Photographer: Larry G. Bezark Determiner: Shulin Yang, Cerambycoidea Forum Collection Location: Ba Be, Bac Kan, Vietnam 41124
|

Institution: LGBC Larry G. Bezark Collection, Sacramento, California, USA Photographer: Larry G. Bezark Collection Location: Ba Be, Bac Kan, Vietnam 41125
|

Paraleprodera quadrinotatus Thomson Photographer: Jim Cope Collection Location: Malay Archipelago 55575
|

Institution: IRSNB Royal Belgian Institute of Natural Sciences, Brussels, Belgium Photographer: Noel Mal Collection Location: Phon Tiou, Laos 55576
|

Paraleprodera officinator White Institution: IRSNB Royal Belgian Institute of Natural Sciences, Brussels, Belgium Photographer: Noel Mal Collection Location: Kurseong, West Bengal, India 55577
|
|