_Martins_CMNH.jpg)
Specimen Type: holotype Sex: m Institution: CMNH Carnegie Museum of Natural History, Pittsburgh, PA, USA Photographer: Steve Lingafelter Collection Location: Don Diego, Magdalena, Colombia 23962
|

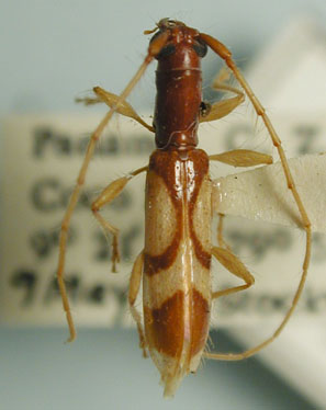
Institution: UCB Essig Museum of Entomology, Berkeley, California, USA Photographer: Larry G. Bezark Determiner: Martins Collection Location: Panama 8342
|