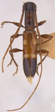
_Martins_MPEG_Maturaca_Rio_Negro_AM_Braz_Monne.jpg)
Specimen Type: holotype Sex: m Institution: MPEG Museu Paraense Emilio Goeldi, Belem, Para, Brazil Photographer: Monne Collection Location: Rio Negro Maturaca, Amazonas, Brazil 57432
|
_Martins_Rio_Negro_Maturaca_Amazonas_Brazil_Muse_Emilio_Goeldi_Arq_de_Zoo.jpg)
Specimen Type: holotype Sex: m Institution: Museu Paraense Emílio Goeldi Collection Location: Rio Negro Maturaca, Amazonas, Brazil 23471
|