
Photographer: Patrick Bonneau, Forum Determiner: Francesco Vitali, Cerambycoidea Forum Collection Location: Ebogo, Mbalmayo, Cameroon 73830
|

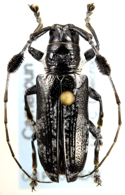
Sex: m Photographer: Francesco Vitali, Cerambycoidea Forum Determiner: Francesco Vitali, Cerambycoidea Forum Collection Location: Obout, Cameroon 73831
|