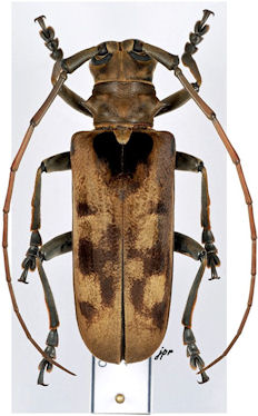
_Thomson_Ebogo_Cameroon_JP_Roguet_photo.jpg)
Sex: f Photographer: JP Roguet, https://lamiinae.org Collection Location: Ebogo, Cameroon 51962
|
_(Thomson)_Adlbauer.jpg)
Sex: f Determiner: Coleoptera, Schwanfelder Coleopt Mitteilungen 51963
|
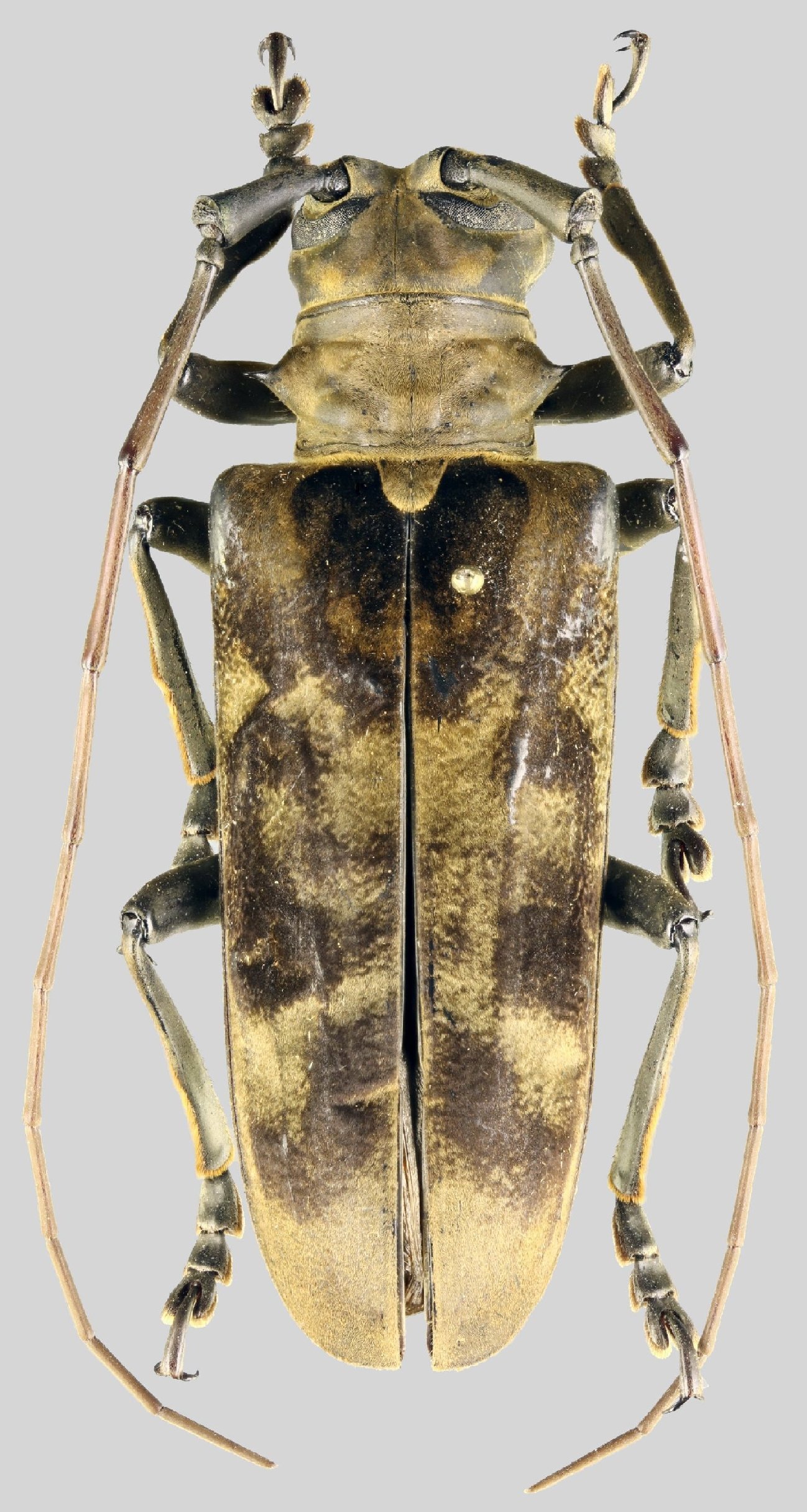
 IRSNB Stanleyville RD Congo NM2.jpg)
Institution: IRSNB Royal Belgian Institute of Natural Sciences, Brussels, Belgium Photographer: Noel Mal Collection Location: Stanleyville, RD Congo 51964
|
|