New Search Family, Subfamily and Tribe List

SubFamily Lamiinae

Tribe Lamiini
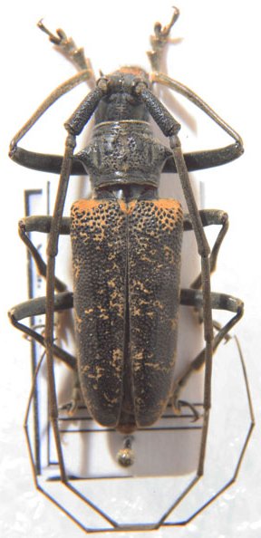
Insulochamus thomensis (Jordan, 1903)

Photographer: Carlo Vitali, Cerambycoidea Forum
Determiner: Norbert Delahaye, Cerambycoidea Forum
Collection Location: Sao Tome
61452

130425