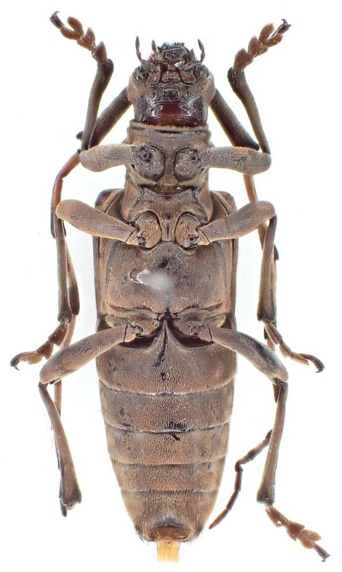
 Br Oudomxay Province, Laos XG.jpg)
Sex: f Photographer: Xavier Gouverneur, Cerambycoidea Forum Collection Location: Oudomxay Province, Laos 101003
|
 Br Oudomxay Province, Laos XG.jpg)
Sex: f Photographer: Xavier Gouverneur, Cerambycoidea Forum Collection Location: Oudomxay Province, Laos 101004
|
 Br Oudomxay Province, Laos XG.jpg)
Sex: f Photographer: Xavier Gouverneur, Cerambycoidea Forum Collection Location: Oudomxay Province, Laos 101005
|
 Br Oudomxay Province, Laos XG.jpg)
Sex: f Photographer: Xavier Gouverneur, Cerambycoidea Forum Collection Location: Oudomxay Province, Laos 101006
|
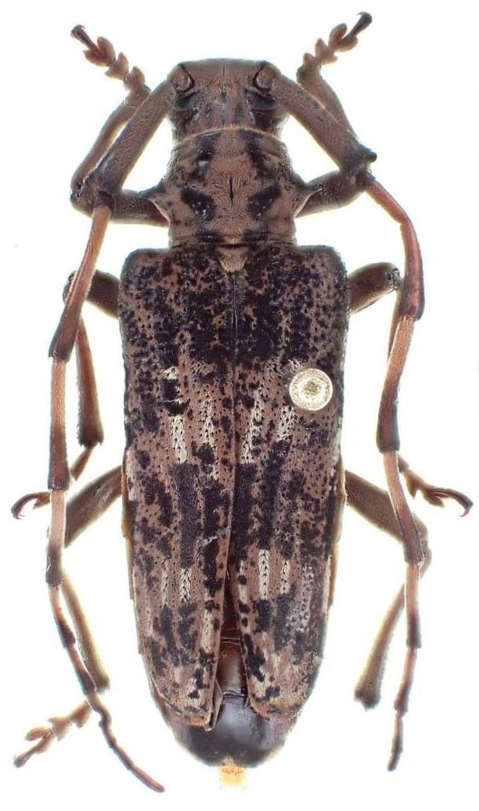
 Br Laos Ben Calmont pic det XG.jpg)
Sex: m Photographer: Ben Calmont, Cerambycoidea Forum Determiner: Xavier Gouverneur, Cerambycoidea Forum Collection Location: Laos 101007
|
|