
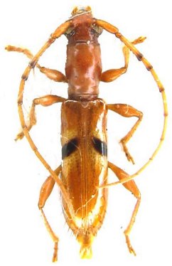
Sex: f Photographer: Jean-Louis Giuglaris Collection Location: Kaw, French Guiana 28730
|

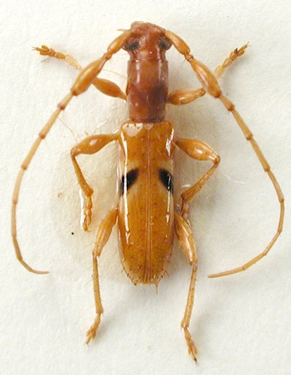
Sex: m Institution: JCPC Jim Cope Collection, San Jose, California, USA now at CSCA, Sacramento Photographer: Larry G. Bezark Determiner: Odette Morvan Collection Location: PK 37 Route de Kaw, French Guiana 98025
|