New Search Family, Subfamily and Tribe List

SubFamily Cerambycinae

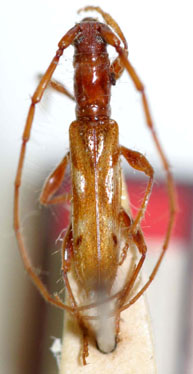
Tribe Tropidini Compsina
Dodecaibidion brasiliense Martins 1962

Specimen Type: holotype
Sex: m
Institution: MNRJ Museu Nacional Universidade do Rio Janeiro, Brazil
Photographer: Steve Lingafelter
Collection Location: Rio de Janeiro (Reprêsa Rio Grande), Brazil
6714

130425