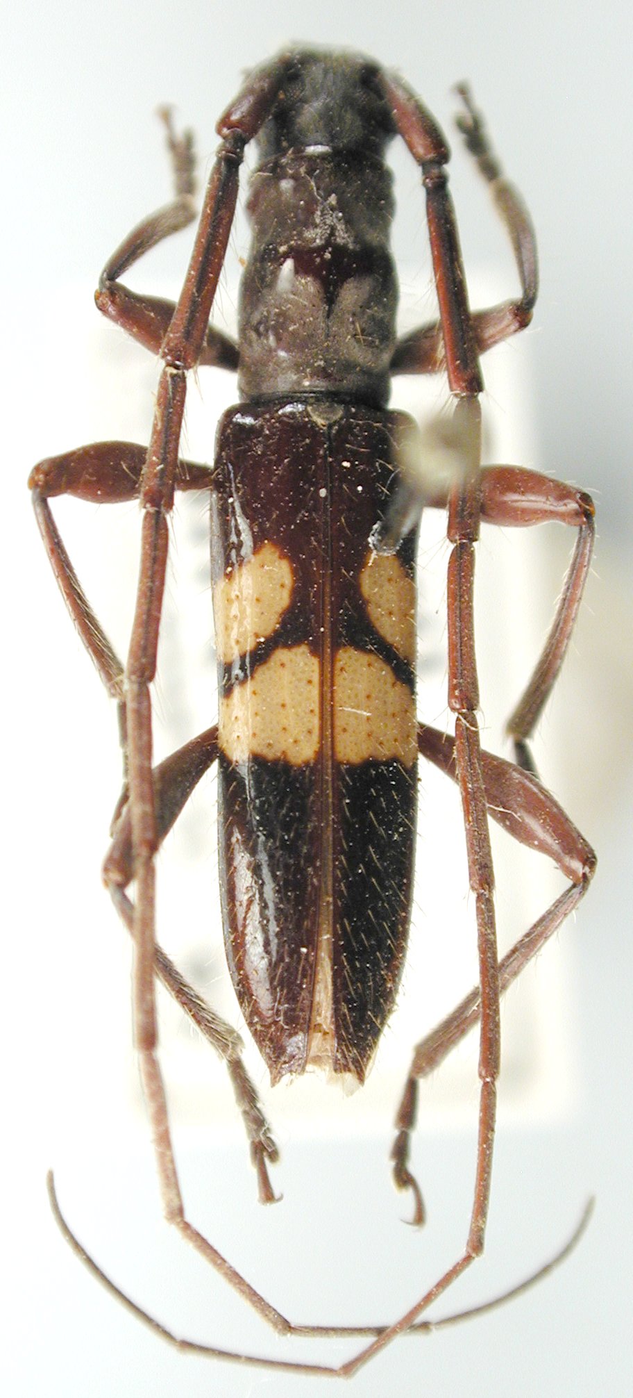
 Sao Paulo, Brazil det Huedepohl JCPC LGB.jpg)
Institution: JCPC Jim Cope Collection, San Jose, California, USA now at CSCA, Sacramento Photographer: Larry G. Bezark Determiner: Ernst Huedeophl Collection Location: Sao Paulo, Brazil 98082
|

Institution: TAMU Texas A & M University, College Station, Texas, USA Photographer: Dan Heffern 20869
|