
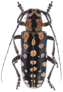
Photographer: Max Smirnov, Cerambycoidea Forum Collection Location: Mt Halcon, N Mindoro, Philippines 45803
|

Institution: DUBC Daugavpils University, Coleopterological Research Center, Latvia Photographer: Arvids Barsevskis Collection Location: Mt Halcon, Mindoro, Philippines 81250
|