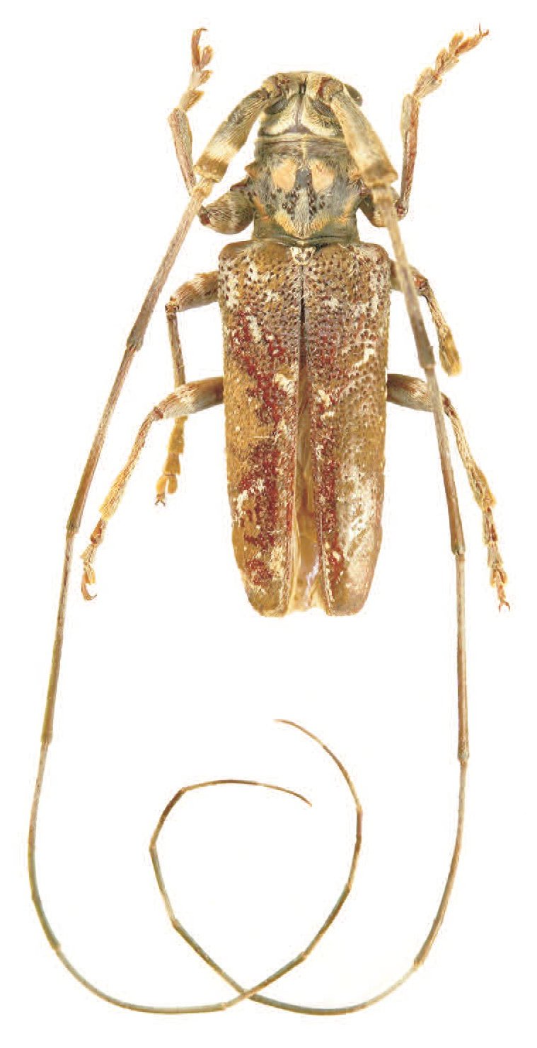
_Gahan_BMNH_Carin_Mtns_Myanmar_nowAnnamanum_LGB.jpg)
Specimen Type: syntype Institution: BMNH British Museum Natural History, London, UK Photographer: Larry G. Bezark Collection Location: Carin Mountains, Myanmar 48358
|
 Pic MNHN Dalat, Annam, Vietnam now thoracic XG.jpg)
Annamanum vitalisi Pic Specimen Type: holotype © MNHN Sex: f Institution: MNHN Museum of Natural History Paris, France Photographer: Xavier Gouverneur, Cerambycoidea Forum Collection Location: Dalat, Annam, Vietnam 101101
|
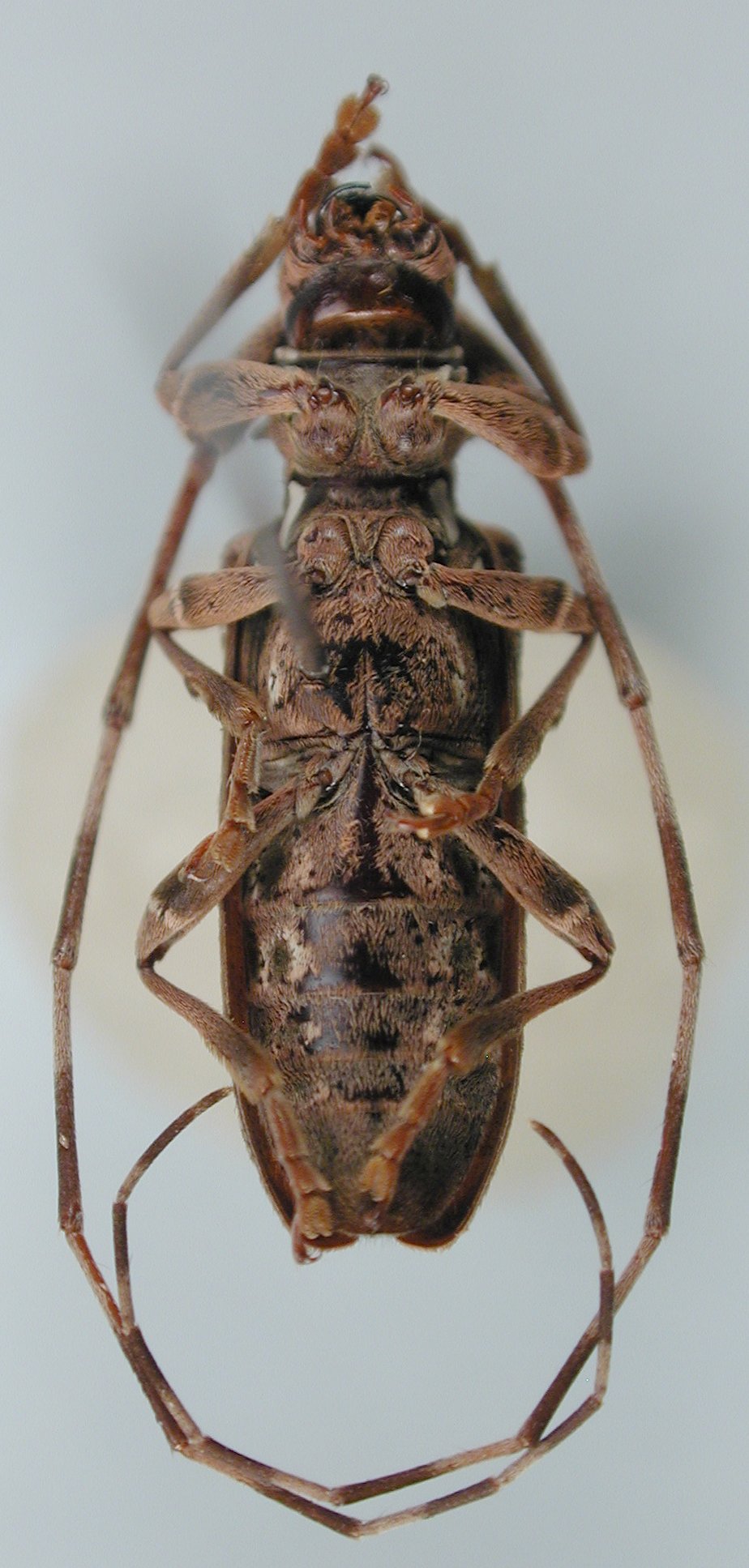
_BMNH_Doherty_LGB.jpg)
Institution: BMNH British Museum Natural History, London, UK Photographer: Larry G. Bezark Determiner: Doherty Collection 47453
|
 (Gahan) PhuRuca, Loei, Thailand Vives coll pic.jpg)
Sex: m Institution: Vives Collection Photographer: Eduard Vives Collection Location: PhuRuca, Loei, Thailand 96919
|
 Bao Loc, Lam Dong Province, Vietnam LGBC.jpg)
Institution: LGBC Larry G. Bezark Collection, Sacramento, California, USA Photographer: Larry G. Bezark Collection Location: Bao Loc, Lam Dong Province, Vietnam 79512
|
(Gahan) Bao Loc, Lam Dong Province, Vietnam LGBC.jpg)
Institution: LGBC Larry G. Bezark Collection, Sacramento, California, USA Photographer: Larry G. Bezark Collection Location: Bao Loc, Lam Dong Province, Vietnam 79513
|
|