New Search Family, Subfamily and Tribe List

SubFamily Lamiinae

Tribe Lamiini
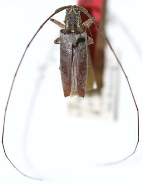
Amechana javanica Breuning 1943

Specimen Type: holotype
Institution: NMNH United States National Museum, Washington, DC, USA
Photographer: Steve Lingafelter
Collection Location: Java
31694


Sex: m
Photographer: Makihara
Collection Location: W Java
31695

130425