New Search Family, Subfamily and Tribe List

SubFamily Lamiinae

Tribe Acanthocinini
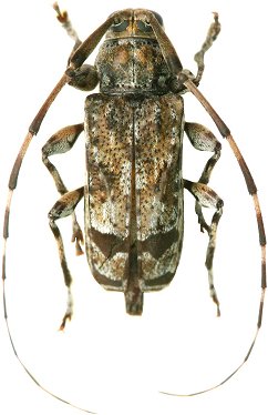
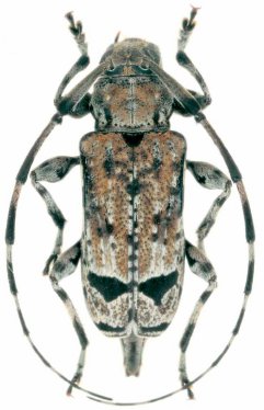
Neobaryssinus altissimus Berkov & Monne 2010

Specimen Type: paratype
Sex: f
Photographer: Gerard Tavakilian
Collection Location: French Guiana
29467


Specimen Type: paratype
Sex: m
Photographer: Amy Berkov
Collection Location: French Guiana
29475


Sex: f
Photographer: Frédéric Robin
Collection Location: Saul, French Guiana
90797


Photographer: Odette Morvan
Collection Location: French Guiana
40128

130425