New Search Family, Subfamily and Tribe List

SubFamily Cerambycinae

Tribe Elaphidiini
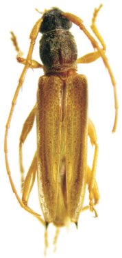
Stizocera debilis Galileo & Martins 2010

Specimen Type: holotype
Sex: f
Institution: MZFS Universidade Estadual de Feira de Santana, Bahia State, Brazil
Collection Location: São Félix do Coribe, Bahia, Brazil
28784

130425