_Touroult_and_Dalens_and_Tav_MNHN_Kaw_pk_31_Fr_Guiana.jpg)
Specimen Type: holotype Sex: f Institution: MNHN Museum of Natural History Paris, France Photographer: Julien Touroult Collection Location: Kaw pk 31 km, Fr Guiana 28553
|
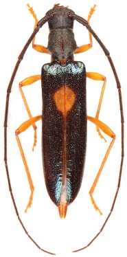
_Beizon_Fr_Guiana_Giuglaris.jpg)
Specimen Type: paratype Photographer: Jean-Louis Giuglaris Collection Location: Belizon, French Guiana 28554
|