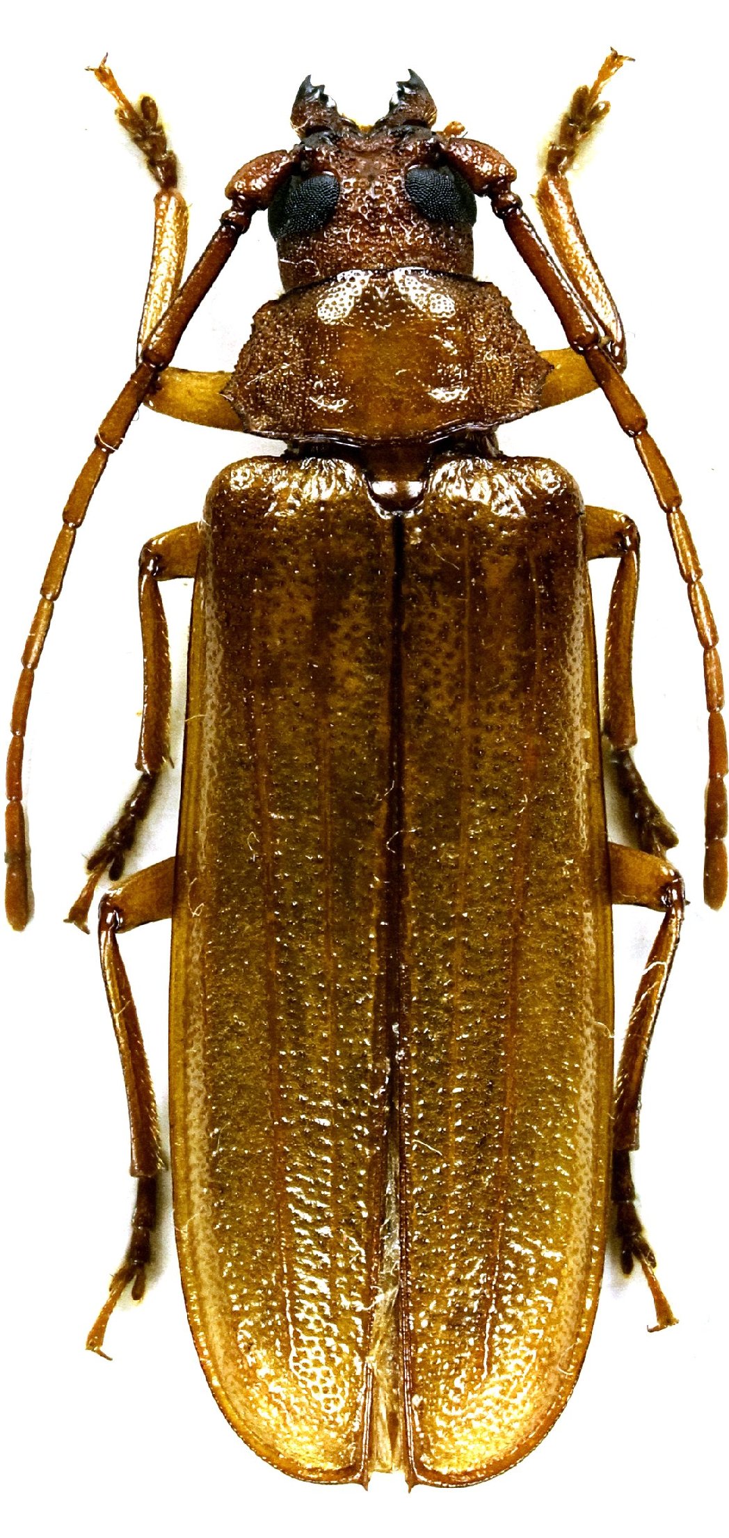
_Perger_and_Santos-Silva_UCRCosta_Rica_Bolivia_La_Paz_Nor_Yungas.jpg)
Specimen Type: holotype Sex: m Institution: UCR Costa Rica Photographer: Robert Perger Collection Location: Nor Yungas, La Paz, Bolivia 28560
|
_Perger_and_Santos-Silva_UCRCosta_Rica_Bolivia_La_Paz_Nor_Yungas.jpg)
Specimen Type: holotype Sex: m Institution: UCR Costa Rica Photographer: Robert Perger Collection Location: Nor Yungas, La Paz, Bolivia 28683
|
 Perger SS MZSP Nor Yungas, La Paz, Bolivia SS.jpg)
Specimen Type: paratype Sex: f Institution: MZSP Museu de Zoologia da Universidade de São Paulo, Brazil Photographer: Antonio Santos-Silva Collection Location: Nor Yungas, La Paz, Bolivia 77017
|
 Perger SS MZSP Nor Yungas, La Paz, Bolivia SS.jpg)
Specimen Type: paratype Sex: f Institution: MZSP Museu de Zoologia da Universidade de São Paulo, Brazil Photographer: Antonio Santos-Silva Collection Location: Nor Yungas, La Paz, Bolivia 77018
|
_Perger_and_Santos-Silva_Bolivia_La_Paz_Nor_Yungas.jpg)
Specimen Type: paratype Sex: f Photographer: Robert Perger Collection Location: Nor Yungas, La Paz, Bolivia 28684
|
_Perger_and_Santos-Silva_Bolivia_La_Paz_Nor_Yungas.jpg)
Specimen Type: paratype Sex: f Photographer: Robert Perger Collection Location: Nor Yungas, La Paz, Bolivia 28561
|
_Perger_and_Santos-Silva_Bolivia_La_Paz_Nor_Yungas.jpg)
Specimen Type: paratype Sex: f Photographer: Robert Perger Collection Location: Nor Yungas, La Paz, Bolivia 28562
|

Photographer: Norbert Delahaye Determiner: Antonio Santos-Silva Collection Location: 33 Km SW Villa Tunari, Cochabamba, Bolivia 77019
|

Photographer: Norbert Delahaye Determiner: Antonio Santos-Silva Collection Location: 33 Km SW Villa Tunari, Cochabamba, Bolivia 77020
|