New Search Family, Subfamily and Tribe List

SubFamily Cerambycinae

Tribe Tropidini Compsina
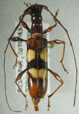
Asynapteron ranthum Martins 1970

Specimen Type: allotype
Sex: f
23365


Institution: EMG Ed Giesbert Collection (now at FSCA)
Photographer: Mike Thomas
Collection Location: Cotopaxi, Ecuador
4792

130425