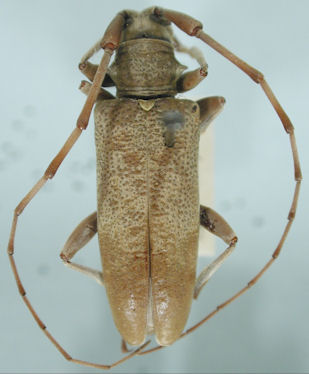
 Mats SEHU Nopporo, Japan now Acalo sejunct Junsaku harada pic.jpg)
Dihammus fraxini Matsushita Specimen Type: paratype Sex: f Institution: EMHU Entomological Museum, Hokkaido University, Sapporo, Japan Photographer: Junsaku Harada Collection Location: Nopporo, Japan 79756
|
 Mats SEHU Nopporo, Japan now Acalo sejunct Junsaku harada pic.jpg)
Dihammus fraxini Matsushita Specimen Type: paratype Sex: m Institution: EMHU Entomological Museum, Hokkaido University, Sapporo, Japan Photographer: Junsaku Harada Collection Location: Nopporo, Japan 79757
|

Photographer: Kirill Makarov Collection Location: Grozovoe, Cape Ivanovsky, Kunashir Island, Sakhalin Region, Russia 80941
|
_CAS.jpg)
Institution: CAS California Academy of Sciences, San Francisco, CA, USA Photographer: Larry G. Bezark 30978
|
_Det_Cope_Japan_LGB.jpg)
Institution: LGBC Larry G. Bezark Collection, Sacramento, California, USA Photographer: Larry G. Bezark Determiner: Jim Cope Collection Location: Japan 30979
|
|