_Gressitt_Taiwan_USNM.jpg)
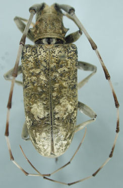
Dihammus permutans paucipunctatus Gressitt Specimen Type: holotype Sex: m Institution: NMNH United States National Museum, Washington, DC, USA Photographer: Steve Lingafelter Collection Location: Bukai, east of Hori, Central Taiwan 37438
|
_Gressitt_CAS.jpg)
Dihammus permutans paucipunctata Gressitt Specimen Type: allotype Sex: f Institution: CAS California Academy of Sciences, San Francisco, CA, USA Photographer: Larry G. Bezark 30969
|