_Bez_SS_Devesa_MZSP_PK37.5_Kaw_French_Guiana_SS.jpg)
Specimen Type: holotype Institution: MZSP Museu de Zoologia da Universidade de São Paulo, Brazil Photographer: Antonio Santos-Silva Collection Location: PK 37.5, Kaw, French Guiana 73478
|
_Bez_SS_Devesa_MZSP_PK37.5_Kaw_French_Guiana_SS.jpg)
Specimen Type: holotype Institution: MZSP Museu de Zoologia da Universidade de São Paulo, Brazil Photographer: Antonio Santos-Silva Collection Location: PK 37.5, Kaw, French Guiana 73479
|
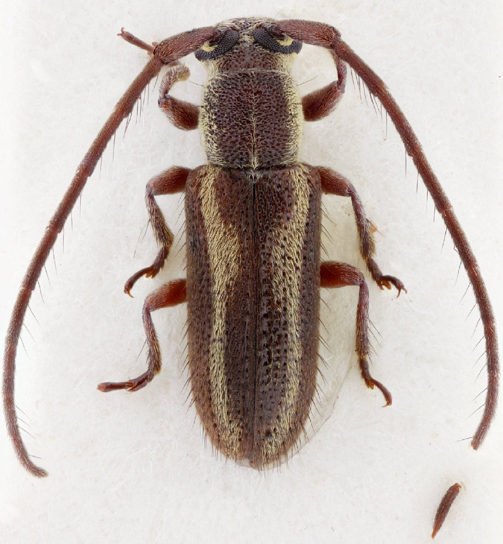
_Bez_SS_Devesa_MZSP_PK37.5_Kaw_French_Guiana_SS.jpg)
Specimen Type: holotype Institution: MZSP Museu de Zoologia da Universidade de São Paulo, Brazil Photographer: Antonio Santos-Silva Collection Location: PK 37.5, Kaw, French Guiana 73480
|
|