_Breuning_India_USNM.jpg)
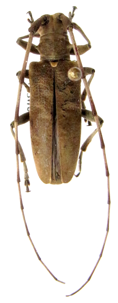
Dihammus elongatus Breuning Specimen Type: holotyype Institution: NHMB Naturhistorisches Museum, Basel, Switzerland Photographer: Steve Lingafelter Collection Location: Sikkim, India 37414
|
_Tongmou_Giuangxi_China_Francesco.jpg)
Photographer: Francesco Vitali, Cerambycoidea Forum Collection Location: Tongmou, Guangxi, China 45553
|
_CAS.jpg)
Institution: CAS California Academy of Sciences, San Francisco, CA, USA Photographer: Larry G. Bezark 30927
|

30928
|
|