
Institution: LGBC Larry G. Bezark Collection, Sacramento, California, USA Photographer: Larry G. Bezark Determiner: Dmitry Kuleshov, Cerambycoidea Forum Collection Location: Tianmu Mountain, Zhejiang Prov, China 79796
|

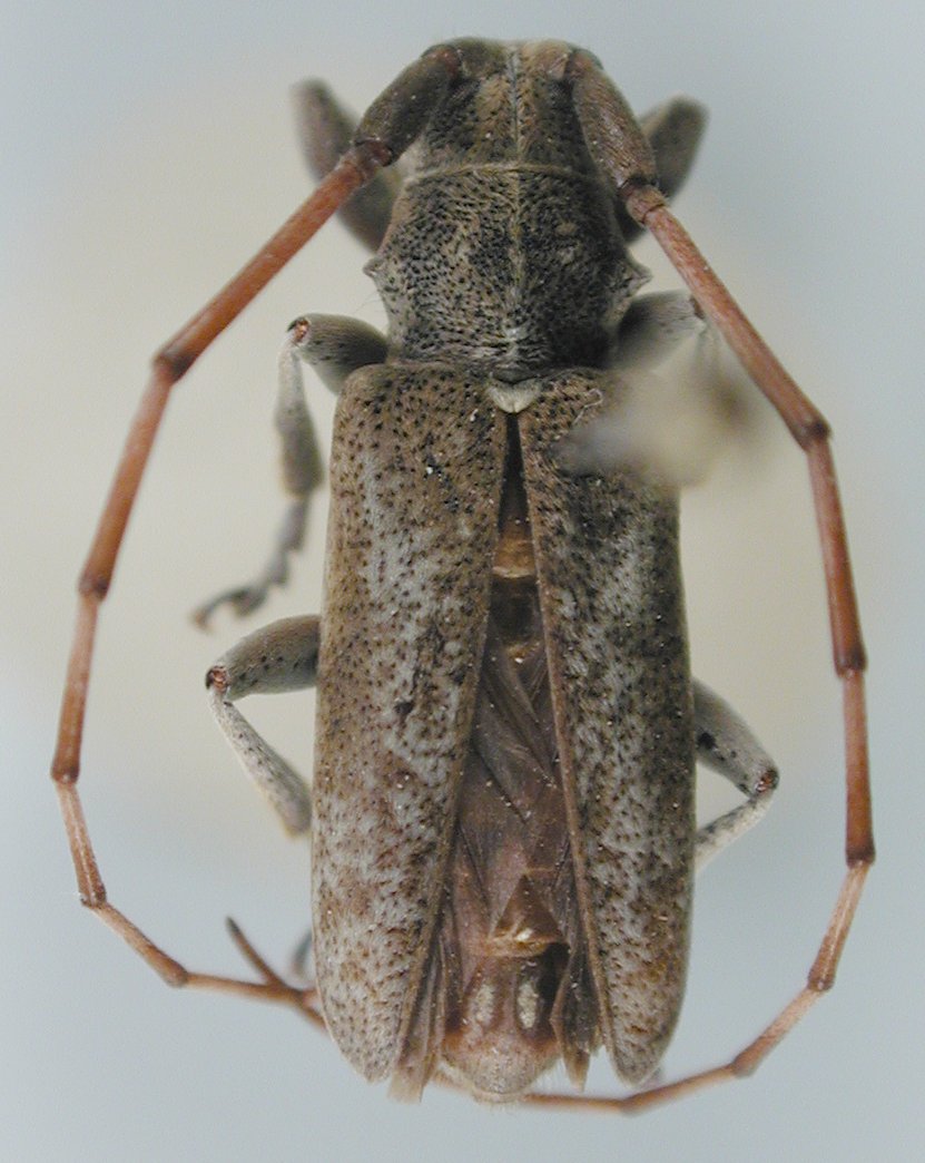
Institution: LGBC Larry G. Bezark Collection, Sacramento, California, USA Photographer: Larry G. Bezark Determiner: Dmitry Kuleshov, Cerambycoidea Forum Collection Location: Tianmu Mountain, Zhejiang Prov, China 79797
|
_Det_Cope_Japan_LGB.jpg)
Photographer: Larry G. Bezark Determiner: Cope Collection Location: Japan 30923
|

Determiner: Longicorn Beetles of Hainan & Guangdong 30924
|

Acalolepta nana Ganglbauer Photographer: Andre Gorodinski Collection Location: Sichuan, China 30960
|
_Bates_Russia_Primorskiy_Terr_Shufan_River_Berlov.jpg)
Photographer: O. E. Berlov Collection Location: Shufan River, Primorskiy Territory, Russia 32519
|
_Bates_Russia_Primorskiy_Terr_Shufan_River_Berlov.jpg)
Photographer: O. E. Berlov Collection Location: Shufan River, Primorskiy Territory, Russia 32520
|
_Det_Gressitt_CAS.jpg)
Institution: CAS California Academy of Sciences, San Francisco, CA, USA Photographer: Larry G. Bezark Determiner: Gressitt 30922
|
_Bates_Russia_Primorskiy_Terr_Shufan_River_Berlov.jpg)
Photographer: O. E. Berlov Collection Location: Shufan River, Primorskiy Territory, Russia 32522
|

Photographer: Denis Kasatkin Collection Location: Primorskiy Territory, Russia 32521
|
|