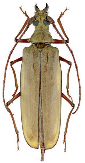
_Drumont_IRSNB_Ban Saleui_Phou_Phan_Hua_Phan_Prov_Laos_NM.jpg)
Specimen Type: holotype Sex: m Institution: IRSNB Royal Belgian Institute of Natural Sciences, Brussels, Belgium Photographer: Noel Mal Collection Location: Ban Saleui, Phou Phan, Hua Phan Province, Laos 70041
|
 Drumont et al IRSNB Camille Locatelli2.jpg)
Specimen Type: holotype©IRSNB Sex: m Institution: IRSNB Royal Belgian Institute of Natural Sciences, Brussels, Belgium Photographer: Camille Locatelli Collection Location: Ban Saleui, Phou Phan, Hua Phan Province, Laos 77854
|
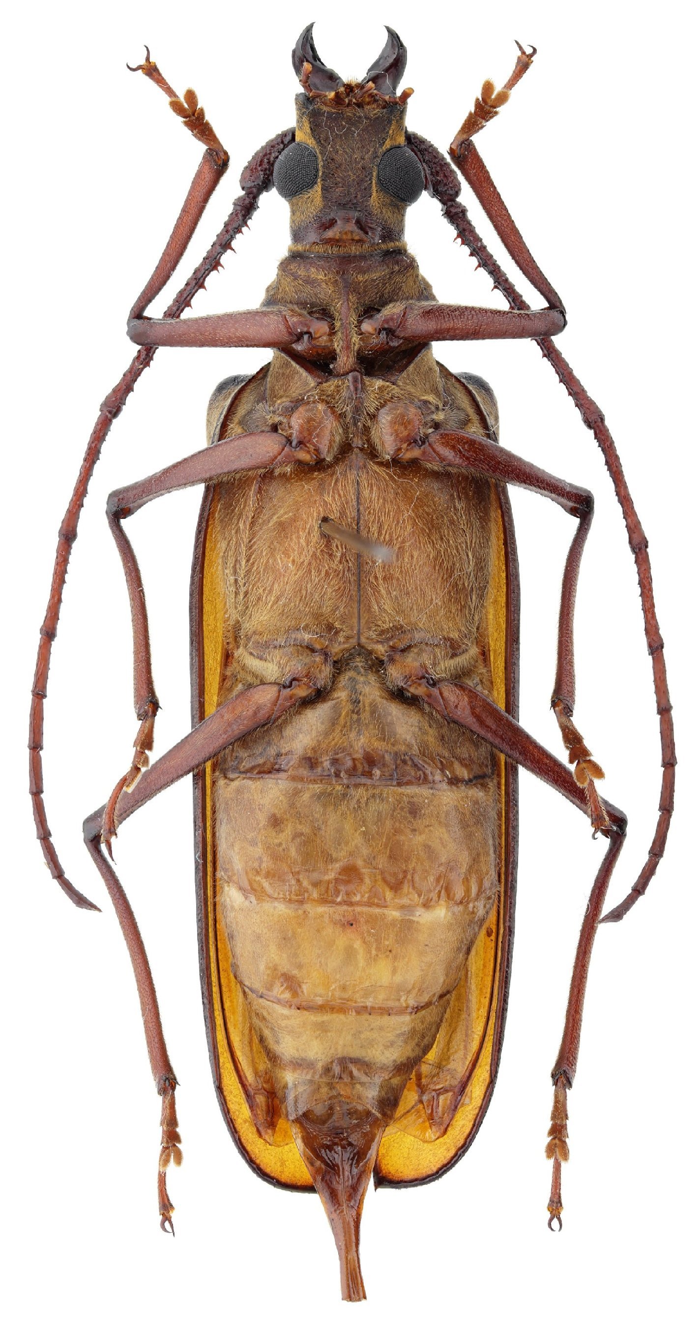
 IRSNB Camille Locatelli2.jpg)
Specimen Type: holotype©IRSNB Sex: m Institution: IRSNB Royal Belgian Institute of Natural Sciences, Brussels, Belgium Photographer: Camille Locatelli Collection Location: Ban Saleui, Phou Phan, Hua Phan Province, Laos 77855
|
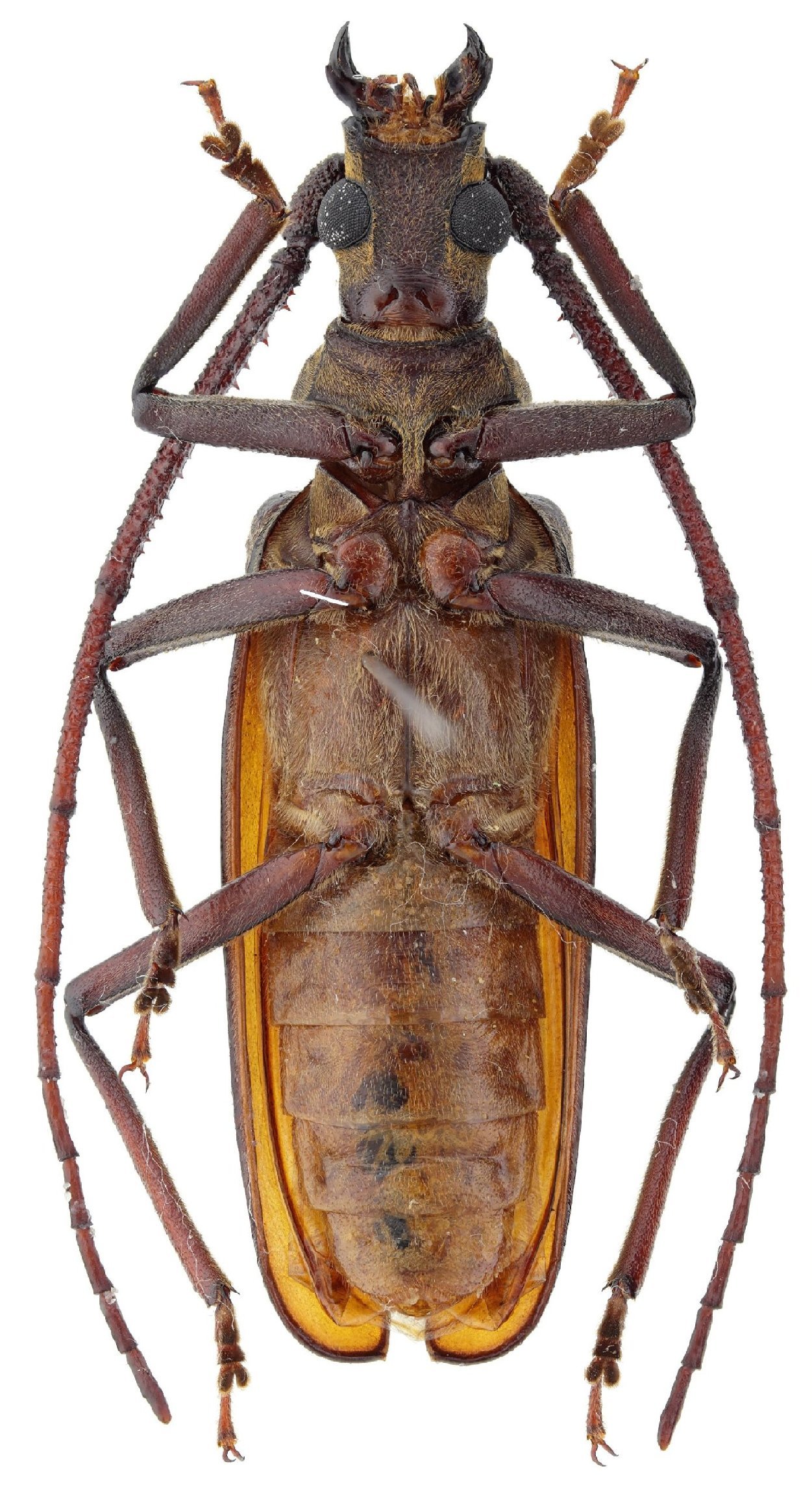
 IRSNB Camille Locatelli2.jpg)
Specimen Type: holotype©IRSNB Sex: m Institution: IRSNB Royal Belgian Institute of Natural Sciences, Brussels, Belgium Photographer: Camille Locatelli Collection Location: Ban Saleui, Phou Phan, Hua Phan Province, Laos 77856
|
_Drumont_IRSNB_Ban Saleui_Phou_Phan_Hua_Phan_Prov_Laos_NM.jpg)
Specimen Type: allotype Sex: f Institution: IRSNB Royal Belgian Institute of Natural Sciences, Brussels, Belgium Photographer: Noel Mal Collection Location: Ban Saleui, Phou Phan, Hua Phan Province, Laos 70042
|
 Drumont et al IRSNB Camille Locatelli2.jpg)
Specimen Type: allotype©IRSNB Sex: f Institution: IRSNB Royal Belgian Institute of Natural Sciences, Brussels, Belgium Photographer: Camille Locatelli Collection Location: Ban Saleui, Phou Phan, Hua Phan Province, Laos 77851
|
 IRSNB Camille Locatelli2.jpg)
Specimen Type: allotype©IRSNB Sex: f Institution: IRSNB Royal Belgian Institute of Natural Sciences, Brussels, Belgium Photographer: Camille Locatelli Collection Location: Ban Saleui, Phou Phan, Hua Phan Province, Laos 77852
|
 IRSNB Camille Locatelli2.jpg)
Specimen Type: allotype©IRSNB Sex: f Institution: IRSNB Royal Belgian Institute of Natural Sciences, Brussels, Belgium Photographer: Camille Locatelli Collection Location: Ban Saleui, Phou Phan, Hua Phan Province, Laos 77853
|
|