 Martins MZSP Corego do Ita, Espirito Santo, Brazil SS.jpg)
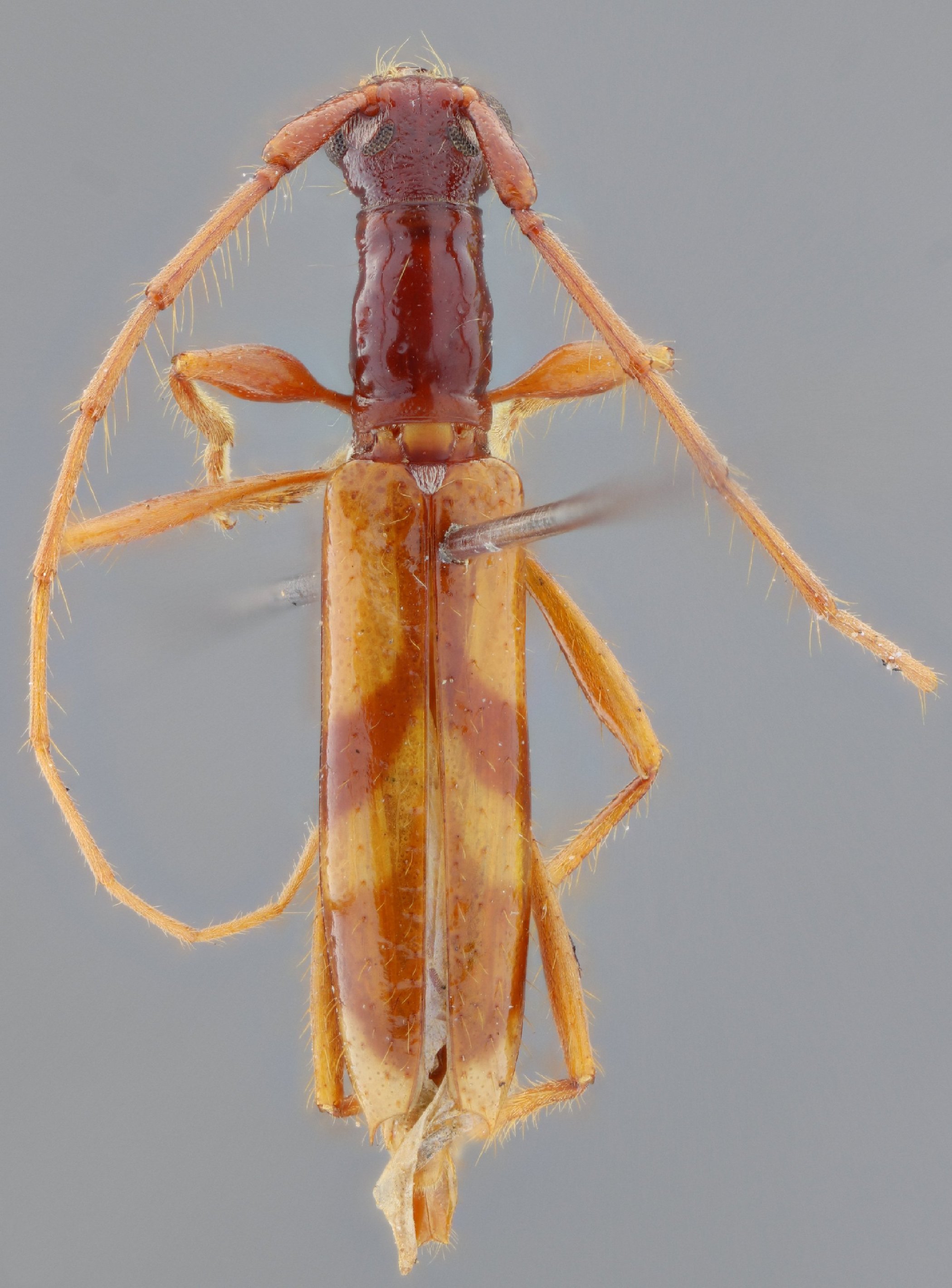
Specimen Type: holotype Sex: f Institution: MZSP Museu de Zoologia da Universidade de São Paulo, Brazil Photographer: Antonio Santos-Silva Collection Location: Corego do Ita, Espirito Santo, Brazil 78128
|
_Martins_Corego_do_Ita_Espirito_Santo_Brazil_IEEA_Arq_de_Zool.jpg)
Specimen Type: holotype Sex: f Institution: MZSP Museu de Zoologia da Universidade de São Paulo, Brazil Collection Location: Corego do Ita, Espirito Santo, Brazil 23551
|