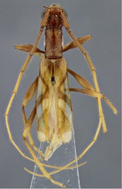
_Mart_Gal_INPA_Reserva_Ducke_Manaus_AM_Braz_Monne.jpg)
Specimen Type: holotype Sex: m Institution: INPA Instituto Nacional de Pesquisas da Amazonia, Manaus, Brazil Photographer: Monne Collection Location: 26 km NE Reserva Ducke, Manaus, Amazonas, Brazil 57438
|
_(m)_Martins_and_Galileo.jpg)
Specimen Type: holotype Sex: m Institution: INPA Instituto Nacional de Pesquisas da Amazonia, Manaus, Brazil Collection Location: 26 km NE, Reserva Ducke, Amazonas, Brazil 11335
|