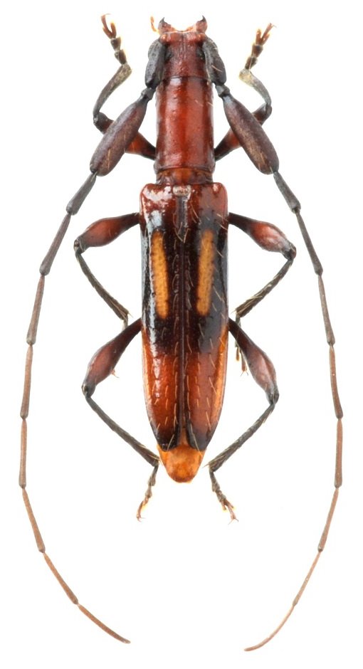
_Martins_MNRJ_SWL_=_Megaceron.jpg)
Octoplon australe Martins Specimen Type: holotype Sex: m Institution: MNRJ Museu Nacional Universidade do Rio Janeiro, Brazil Photographer: Steve Lingafelter Collection Location: Corupa, Santa Catarina, Brazil 10907
|
 Martins MZSP Corupa, Santa Catarina, Brazil now Megaceron SS.jpg)
Octoplon australe Martins Specimen Type: paratype Sex: m Institution: MZSP Museu de Zoologia da Universidade de São Paulo, Brazil Photographer: Antonio Santos-Silva Collection Location: Corupa, Santa Catarina, Brazil 78274
|