_Br_BPBM_Phou_Khao_Khoay_Vient_Laos_NO.jpg)
Specimen Type: holotype Sex: f Institution: BPBM Bernice P. Bishop Museum, Honolulu, Hawaii, USA Photographer: Nobuo Ohbayashi Collection Location: Phou Khao Khoay, Vientiane, Laos 44698
|
_Br_BPBM_Phou_Khao_Khoay_Vient_Laos_NO.jpg)
Specimen Type: holotype Sex: f Institution: BPBM Bernice P. Bishop Museum, Honolulu, Hawaii, USA Photographer: Nobuo Ohbayashi Collection Location: Phou Khao Khoay, Vientiane, Laos 44699
|
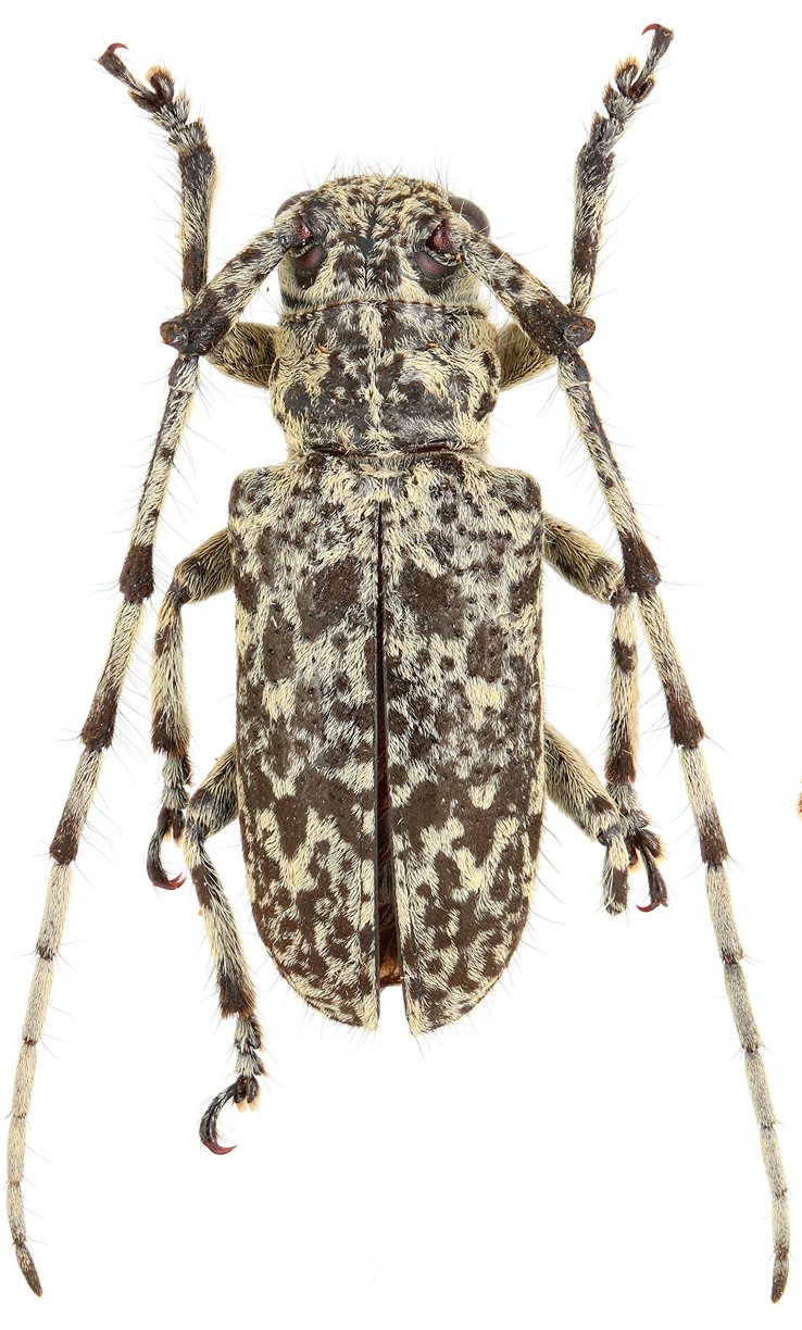
_Br_Niisato_Coll_Mt_Phu_Pan_Houa_Phan_Prov_Laos_Yamasako_pic.jpg)
Sex: m Institution: Niisato Collection Photographer: Junsuke Yamasako Collection Location: Mt Phu Pan, Houa Phan Province, Laos 71358
|
_Br_Niisato_Coll_Mt_Phu_Pan_Houa_Phan_Prov_Laos_Yamasako_pic.jpg)
Sex: m Institution: Niisato Collection Photographer: Junsuke Yamasako Collection Location: Mt Phu Pan, Houa Phan Province, Laos 71359
|
_Br_Yama_Coll_Ban_Saleui_Houa_Phan_Prov_Laos_Yamasako_pic.jpg)
Sex: f Institution: Yamasako Collection Photographer: Junsuke Yamasako Collection Location: Ban Saleui, Mt Phou Pan, Hua Phan Province, N Laos 71360
|
_Br_Yama_Coll_Ban_Saleui_Houa_Phan_Prov_Laos_Yamasako_pic.jpg)
Sex: f Institution: Yamasako Collection Photographer: Junsuke Yamasako Collection Location: Ban Saleui, Mt Phou Pan, Hua Phan Province, N Laos 71361
|
_Breuning_N_Laos_Xavier.jpg)
Sex: m Photographer: Xavier Gouverneur, Cerambycoidea Forum Collection Location: Northern Laos 52741
|
|