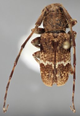
_Breuning_MNHN_Back-Kan_Tonkin_Nearns.jpg)
Specimen Type: holotype Institution: MNHN Museum of Natural History Paris, France Photographer: Gino Nearns Collection Location: Tonkin, Bac-Kan Province, Vietnam 52714
|
 Breuning MNHN Tonkin, Bac-Kan Province, Vietnam XG.jpg)
Specimen Type: holotype © MNHN Institution: MNHN Museum of Natural History Paris, France Photographer: Xavier Gouverneur, Cerambycoidea Forum Collection Location: Tonkin, Bac-Kan Province, Vietnam 101170
|