_Gressitt_IZAS.jpg)
Specimen Type: holotype Sex: f Institution: IZAS Zoological Institute, Chinese Academy of Sciences, Beijing, China Photographer: Meiying Lin Collection Location: T'ien-mu Shan, Zhejiang, China 42918
|
_irrorata_(p)_Gressitt_CAS.jpg)
Specimen Type: paratype Institution: CAS California Academy of Sciences, San Francisco, CA, USA Photographer: Larry G. Bezark Collection Location: T'ien-mu Shan, Zhejiang, China 52555
|

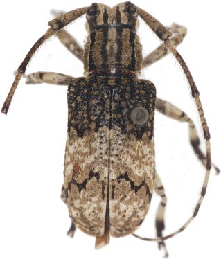
Institution: BPBM Bernice P. Bishop Museum, Honolulu, Hawaii, USA Photographer: Jim Cope Collection Location: Kuling, China 52665
|
|