_(Pic)_MNHN_Xavier.jpg)
Mesosa langana Pic Specimen Type: holotype Institution: MNHN Museum of Natural History Paris, France Photographer: © MNHN, Paris, photographie X. Gouverneur Collection Location: Ha-lang, Tonkin, Vietnam 51678
|
_Pic_Nearns_MNHN_Ha-Lang_Tonkin_now_Leptomesosa.jpg)
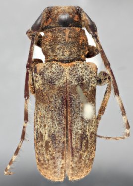
Mesosa langana Pic Specimen Type: holotype Institution: MNHN Museum of Natural History Paris, France Photographer: Gino Nearns Collection Location: Ha-lang, Tonkin, Vietnam 52667
|

Photographer: Xavier Gouverneur, Cerambycoidea Forum Collection Location: Hua Phan, NE Laos 51679
|

Photographer: Robert Vigneault, Cerambycoidea Forum Collection Location: Hua Phan, NE Laos 51680
|
|