New Search Family, Subfamily and Tribe List

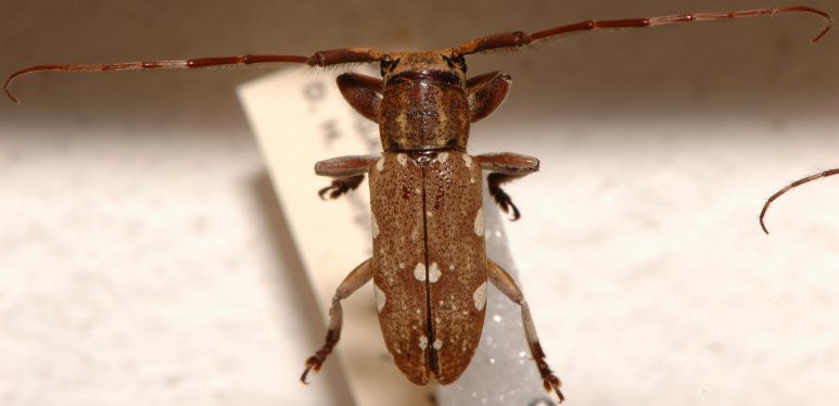
SubFamily Lamiinae

Tribe Mesosini
Demodes albomaculata Breuning 1939

Photographer: Francesco Vitali, Cerambycoidea Forum
49186


Photographer: Loong Fah, Cerambycoidea Forum
Collection Location: Singapore
49187

130425