New Search Family, Subfamily and Tribe List

SubFamily Lamiinae

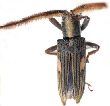
Tribe Astathini
Cleonaria sp Thomson 1864

Institution: USNM United States National Museum, Washington, DC, USA
Photographer: Steve Lingafelter
Determiner: Wappes
Collection Location: Brazil, Atlantic forest
28529

130425