
Institution: LIPI Lembaga Ilmu Pengetahuan, Bogor, Indonesia Photographer: Larry G. Bezark Collection Location: Mt Halimun Salak National Park, West Java 43452
|

Institution: LIPI Lembaga Ilmu Pengetahuan, Bogor, Indonesia Photographer: Larry G. Bezark Collection Location: Mt Halimun Salak National Park, West Java 43453
|

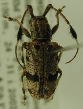
Institution: LIPI Lembaga Ilmu Pengetahuan, Bogor, Indonesia Photographer: Larry G. Bezark Collection Location: Mt Halimun Salak National Park, West Java 43454
|
_subfasciata_Schwarzer_W._Java_Makihara.jpg)
Photographer: Makihara Collection Location: W. Java 34143
|

Institution: LIPI Lembaga Ilmu Pengetahuan, Bogor, Indonesia Photographer: Larry G. Bezark Collection Location: Mt Halimun Salak National Park, West Java 43455
|
|