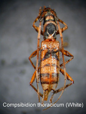
_White_BMNH_RioTapajos_Para_Brazil_nowCompsibidion_LGB.jpg)
Ibidion thoracicum White Specimen Type: holotype Sex: f Institution: BMNH British Museum Natural History, London, UK Photographer: Larry G. Bezark Collection Location: Rio Tapajos, Para, Brazil 46919
|
.jpg)
Institution: CAS California Academy of Sciences, San Francisco, CA, USA Photographer: Larry G. Bezark 6036
|