_Yamasako_Befu_EUMJ_Gunung_Jasar_Mt_Tanah_Rata_Pahang_Malaysia.jpg)
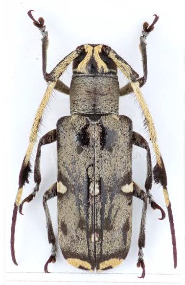
Specimen Type: holotype Sex: m Institution: EUMJ Entomology laboratory, Ehime University Museum, Matsuyama, Japan Photographer: Junsuke Yamasako Collection Location: Gunung Jasar Mt, Tanah Rata, Pahang, Malaysia 71326
|
_Yamasako_Befu_EUMJ_Gunung_Jasar_Mt_Tanah_Rata_Pahang_Malaysia.jpg)
Specimen Type: holotype Sex: m Institution: EUMJ Entomology laboratory, Ehime University Museum, Matsuyama, Japan Photographer: Junsuke Yamasako Collection Location: Gunung Jasar Mt, Tanah Rata, Pahang, Malaysia 71327
|
_Yamasako_Befu_EUMJ_Gunung_Jasar_Mt_Tanah_Rata_Pahang_Malaysia.jpg)
Specimen Type: paratype Sex: f Institution: EUMJ Entomology laboratory, Ehime University Museum, Matsuyama, Japan Photographer: Junsuke Yamasako Collection Location: Gunung Jasar Mt, Tanah Rata, Pahang, Malaysia 71328
|
_Yamasako_Befu_EUMJ_Gunung_Jasar_Mt_Tanah_Rata_Pahang_Malaysia.jpg)
Specimen Type: paratype Sex: f Institution: EUMJ Entomology laboratory, Ehime University Museum, Matsuyama, Japan Photographer: Junsuke Yamasako Collection Location: Gunung Jasar Mt, Tanah Rata, Pahang, Malaysia 71329
|
|