_Gressitt_CAS_7478_LGB.jpg)
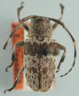
Choeromorpha formosana palminsulana Gressitt Specimen Type: holotype Sex: f Institution: CAS California Academy of Sciences, San Francisco, CA, USA Photographer: Larry G. Bezark Collection Location: Chung-kon-ts'uen, East of Nodoa, Hainan, China 35188
|

31532
|
|